Van 24 personas fallecidas al caer por un barranco cuando viajaban en un bus en Perú Una de las personas que perdió la vida fue la mamá de una menor de edad de un mes. 16 julio, 2024
Partido Republicano nomina a Donald Trump como su candidato a la presidencia de Estados Unidos En la Convención Nacional, Donald Trump recibió los suficientes votos para convertirse en el candidato formal de los republicanos 15 julio, 2024
Argentina logra bicampeonato de Copa América pese a caos en el estadio Miami, Estados Unidos. Argentina completó este domingo un ciclo inolvidable al lograr el bicampeonato en la Copa América y con… 15 julio, 2024
Portazo en Miami genera caos previo a la final de Copa América Aún sin tener cifras oficiales de lesionados y detenidos, fallas en los protocolos de seguridad para el ingreso de los… 14 julio, 2024
Donald Trump lanza primer mensaje, y revela que una bala le atravesó la oreja: “Dios bendiga América” El candidato mandó su pésame a la familia de la persona que murió en el mitin 13 julio, 2024
Sheinbaum reprueba ataque a Trump: “La violencia no lleva a ningún lado” CIUDAD DE MÉXICO (apro).- “La violencia no lleva a ningún lado”, aseguró la virtual presidenta electa, Claudia Sheinbaum Pardo, ante… 13 julio, 2024
Hackean a AT&T; roban datos de 109 millones de clientes La compañía indicó que el FBI está investigando y que al menos una persona ha sido detenida después de que… 13 julio, 2024
Tomás Yarrington es liberado de prisión en Estados Unidos Este jueves trasciende la liberación de Tomás Yarrington Ruvalcaba, exgobernador de Tamaulipas, quien estuvo encarcelado desde 2021 en Illinois, Estados… 11 julio, 2024
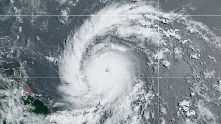
Huracán Beryl toca tierra como categoría 1 en Matagorda, Texas La tormenta llegó a tierra como huracán de categoría 1 en torno a las 4 de la mañana 8 julio, 2024
Ciclón Debby: así va la formación hoy, 7 de julio El huracán Beryl sigue afectando Tamaulipas con lluvias 7 julio, 2024
Huracán Beryl: se fortalecerá a categoría 1; hora exacta en que tocará tierra en Texas Actualmente la tormenta tropical Beryl se desplaza sobre el noroeste del Golfo de México 7 julio, 2024
En Latinoamérica y el Caribe, 36 mil menores de 15 años dan a luz cada año: ONU La ONU advierte que sucede sobre todo entre las adolescentes más pobres, pertenecientes a comunidades rurales, indígenas y afrodescendientes 6 julio, 2024