Yalitza Aparicio es la más elegante de los Latin Grammy con este vestido negro ¿Yalitza Aparicio es la mejor vestida de los Latin Grammy 2020? Sí, la respuesta es contundente. Esta es su noche… 19 noviembre, 2020
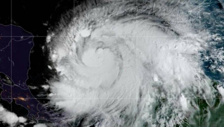
Huracán ‘Iota’ se acerca a categoría 5; amenaza Centroamérica En sólo 24 horas, los vientos máximos sostenidos del fenómeno meteorológico han aumentado en 112 kilómetros por hora. 16 noviembre, 2020
La farmacéutica Moderna anuncia una vacuna con más eficacia que la de Pfizer y más fácil de conservar en frío El laboratorio estadounidense Moderna ha confirmado una alta eficacia -de casi el 95%- en su vacuna contra la Covid-19 16 noviembre, 2020
Reportan asesinato del segundo al mando de Al Qaeda El segundo mando más alto de Al Qaeda, Abdullah Ahmed Abdullah, conocido como Abu Muhammad al-Masri 13 noviembre, 2020
Peligra juego del Tri ante Corea del Sur por Covid Algunos periodistas de Corea del Sur informan que el partido estaría muy cerca de ser cancelado. 13 noviembre, 2020
Nueva Zelanda vuelve a demostrar su ‘mano dura’ contra la pandemia al confinar Auckland por un caso de Covid Las autoridades sanitarias de Nueva Zelanda instaron a cien mil trabajadores de Auckland 13 noviembre, 2020
La Audiencia dice NO a la súplica de Ancira y lo envía a México para que sea juzgado por corrupción En un auto dado a conocer este viernes 13 noviembre, 2020
Se registra una caída de YouTube a nivel mundial Los problemas se reportan en su mayoría en gran parte de Latinoamérica, EE.UU., y Europa. 11 noviembre, 2020
Biden pide hablar con AMLO; aún no, responde su gobierno La embajadora de México en EU informó al equipo del demócrata que el Presidente esperará la definición final para felicitar… 11 noviembre, 2020
Congreso de Perú destituye al presidente Martín Vizcarra El Congreso de Perú depuso este lunes al presidente Martín Vizcarra, después de que el pleno del Parlamento lo declarara… 9 noviembre, 2020
Joe Biden designa equipo científico para confrontar al Covid-19 Joe Biden, presidente electo de Estados Unidos, ha anunciado la integración de un grupo de científicos para enfrentar la pandemia… 9 noviembre, 2020
Pfizer y BioNTech reportan una eficacia del 90% en su vacuna contra Covid La farmacéutica estadounidense Pfizer y la firma alemana BioNTech informaron que los estudios de su vacuna contra covid-19 muestran una… 9 noviembre, 2020